



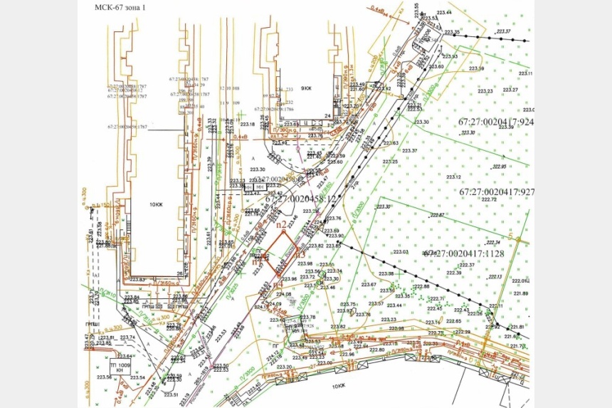
Администрация города Смоленска, рассмотрев ходатайство ОГБУ «УКС Смоленской области» об установлении публичного сервитута в целях строительства водоотведения для объекта «Строительство детского сада на 150 мест в жилом микрорайоне Краснинского шоссе города Смоленска», уведомляет о возможном установлении публичного сервитута в предложенных границах в отношении земельного участка с кадастровым номером 67:27:0020458:12, адрес: РФ, Смоленская область, город Смоленск, Краснинское шоссе, указанных на прилагаемом к ходатайству графическом описании местоположения границ публичного сервитута.
Ознакомиться с поступившим ходатайством об установлении публичного сервитута и прилагаемым к нему описанием местоположения границ публичного сервитута Вы можете в течение 15 дней со дня опубликования настоящего уведомления по адресу: Российская Федерация, Смоленская область, город Смоленск, ул. Дзержинского, д. 11, 2 этаж, Управление имущественных, земельных и жилищных отношений Администрации города Смоленска (понедельник-четверг, с 9.00-18.00; пятница с 9.00-17.00; обед с 13.00-13.48).
Настоящее уведомление и прилагаемое к нему описание местоположения границ публичного сервитута размещено на официальном сайте Администрации города Смоленска (www.smoladmin.ru).
Опубликовано: 30.03.2026 17:40 Просмотров: 199






















© 2026 Администрация города Смоленска
214000, Смоленск, ул. Октябрьской революции, 1/2
Адрес для служебной корреспонденции: smol@smoladmin.ru
Для направления обращений граждан и организаций: интернет-приемная
Официальный сайт Администрации города Смоленска не является средством массовой информации





